yahoo Press
Strongest storm on planet bearing down on U.S. islands in Western Pacific
Images
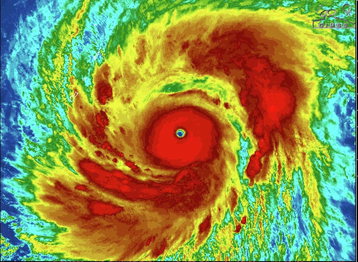
A super typhoon is bearing down on American islands in the Pacific. Super Typhoon Sinlaku intensified into the strongest storm on the planet this year Sunday, packing sustained winds of 180 mph and gusts as high as 220 mph as it tracked toward a chain of U.S.-held islands in the Western Pacific. For the roughly 50,000 people living on Rota, Tinian and Saipan, the next 48 hours could be catastrophic. The Northern Mariana Islands are an unincorporated U.S. territory about 6,000 miles west of San Francisco, closer to Tokyo than to Honolulu. The people who live there are American citizens, and they are about to take a direct hit from a storm equivalent to a strong Category 4 or Category 5 hurricane. Typhoon Sinlaku is probably near its peak intensity as of Sunday evening Pacific time. Some weakening is expected before closest approach, but models still project sustained winds of 155 to 160 mph when the storm reaches the Marianas late Monday into Tuesday. Forecast guidance has shifted the storm farther north over the past 24 hours. The latest models show a passage near or directly over Tinian, between Rota and Saipan. Small shifts in the final track will determine which islands take the eyewall and strongest winds. Typhoon warnings are in effect for Rota, Tinian and Saipan, while Guam, home to major U.S. military installations, is under a tropical storm warning. United Airlines and regional carrier Micronesian Air Connection have canceled flights through midweek. Schools and government offices across the islands are closed, and shelters opened Sunday. The hazards extend well beyond wind. The National Weather Service expects 15 to 20 inches of rain for Guam and Rota, with 8 to 15 inches for Tinian and Saipan from Monday through Thursday. Sinlaku is a big storm and could span 400 miles wide, meaning heavy rain will fall far from the center. Flash flooding, rapid runoff and landslides are possible, particularly where rain bands stall over mountainous terrain. Hazardous surf is expected to build to around 15 feet across exposed reefs, with storm surge adding coastal inundation and beach erosion into the second half of the week. This article originally published at Strongest storm on planet bearing down on U.S. islands in Western Pacific.
Comments
You must be logged in to comment.